原标题:公租房、幼儿园、社康……龙华区这些地方或将迎来利好!
见圳客户端·深圳新闻网2020年6月6日讯(晶报记者 邓裴裴)6月5日,龙华区城市更新和土地整备局公示了6个城市更新单元规划的草案,其中5个规划有公共租赁房、幼儿园,部分城市单元更新项目还规划了公交首末站、社区健康服务中心等公共配套设施。就龙华商业中心城市更新单元项目而言,公共租赁住房达225125平方米,还有4所幼儿园,5个公交首末站。
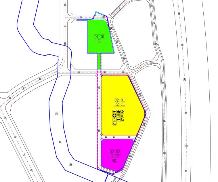
民治街道横岭旧村片区城市更新单元规划项目,位于龙华区民治街道民丰路与民荣路交汇处东南侧,更新单元用地面积50615.4平方米,拆除用地面积45546.6平方米,其中开发建设用地面积24781.3平方米。规划容积为187870平方米,其中住宅120940平方米,含公共租赁住房16200平方米,还将规划公共配套设施(含地下)12600平方米,含12班幼儿园3900平方米、占地3600平方米,公交首末站2500平方米,社区健康服务中心1100平方米,老年人日间照料中心850平方米,文化活动室1100平方米等。另配建社区体育活动场地占地面积1500平方米。

龙华街道彬峰桂工业园城市更新单元项目,位于龙华区龙华街道和平路与清龙路交汇处东南侧,更新单元用地面积73217.4平方米,拆除用地面积72884.0平方米,其中开发建设用地面积48590.3平方米。规划容积392000平方米,其中住宅211310平方米,含公共租赁住房54100平方米,还规划了公共配套设施(含地下)17250平方米,含18班幼儿园5800平方米、占地5400平方米,公交首末站3200平方米,社区健康服务中心1080平方米,老年人日间照料中心750平方米等。另配建社区体育活动场地占地面积2300平方米。

龙华商业中心城市更新单元项目,位于龙华街道人民路与建设路交汇处南侧,更新单元用地面积346190.3平方米,拆除用地面积343258.8平方米,其中开发建设用地面积195562.1平方米。规划容积为1615135平方米,其中住宅902500平方米,含公共租赁住房225125平方米,规划公共配套设施(含地下)55845平方米,含2所9班幼儿园,各为3000平方米,占地各为2700平方米;1所12班幼儿园3900平方米,占地为3600平方米;1所18班幼儿园5800平方米,占地为5400平方米。5个公交首末站共17700平方米,社区健康服务中心3600平方米,老年人日间照料中心2700平方米,公共充电站(地上700平方米,地下2500平方米)等。另配建社区体育活动场地占地面积10690平方米。

观澜街道田心村城市更新单元项目,位于观澜街道东部片区,处于环观南路与君新路交汇处的西北侧。更新单元用地面积61091.4平方米,拆除范围用地面积60169.5平方米,开发建设用地面积29820.9平方米。规划总容积176060平方米,其中住宅161400平方米,含公共租赁住房19370平方米。规划公共配套设施12060平方米,含幼儿园3900平方米,占地3600平方米,不少于12班,公交首末站2500平方米,社区健康服务中心1000平方米等,另配建社区体育活动场地1700平方米。

龙华街道水斗新围山嘴头工业区(第二期)城市更新单元,项目位于龙华区龙华街道工业路与俊龙路交汇处东北侧。更新单元用地面积32961.6平方米,拆除用地面积32213.9平方米,其中开发建设用地面积15982.2平方米。规划容积为133160平方米,其中住宅85220平方米,含公共租赁住房6860平方米。规划公共配套设施(含地下)9660平方米,含6班幼儿园2000平方米、占地1800平方米,公交首末站1800平方米,社区健康服务中心1050平方米等。另配建社区体育活动场地占地面积1000平方米。

福城街道人才街区(竹园工业区)城市更新单元项目,位于福城街道南部,位于观澜大道和翠幽路交汇处西侧。更新单元用地面积28660.7平方米,拆除范围用地面积28653.3平方米,其中开发建设用地面积20053.3平方米。规划容积为165570平方米,其中研发用房116210平方米,含创新型产业用房13950平方米,配套商业8270平方米,配套宿舍34570平方米。同时,规划公共服务设施6520平方米,含公交首末站1500平方米等,另配建社区体育活动场地600平方米。

以上城市更新单元规划公示期自2020年6月5日至2020年7月4日止,公示期间对该规划草案有任何意见或建议可书面向龙华区城市更新和土地整备局反馈。此外,本次公示的单元规划仅为草案,最终成果以政府批件为准。

